Линки доступности

«Милтон» может оказаться одним из самых разрушительных ураганов в истории


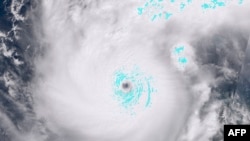
«Милтон» над Мексиканским заливом (вид из космоса)
«Милтон» над Мексиканским заливом (вид из космоса)

В среду ураган обрушится на западное побережье Флориды, жители которого еще не оправились от урагана «Хелена»

Усиливающийся ураган «Милтон» во вторник устремился к пострадавшему от недавнего урагана «Хелена» побережью Мексиканского залива во Флориде. Более миллиона жителей штата получили распоряжение эвакуироваться прежде, чем шторм выйдет на сушу в районе Тампы.

Ураган, стремительно усилившийся в понедельник и ставший одним из самых мощных за всю историю наблюдений, судя по прогнозам, обрушится на побережье в среду, угрожая густонаселенному западному побережью Флориды, которое еще не оправилось от разрушительного урагана «Хелена», прошедшего менее двух недель назад.

Появление урагана в заливе станет первым с 1921 года, когда разросшийся район Тампа-Санкт-Петербург-Клируотер был относительным захолустьем.

«”Милтон” может стать одним из самых разрушительных ураганов в истории для западно-центральной части Флориды», – заявили в Национальном центре отслеживания ураганов.

Во вторник губернатор Флориды Рон Десантис заявил, что штат задействует 8000 военнослужащих Национальной гвардии и разместит грузовики с припасами и оборудованием в районе, где ожидается ураган.

По состоянию на вторую половину дня во вторник около 900 внутренних и международных рейсов в США были задержаны и почти 700 – отменены. Более 1500 рейсов, запланированных на среду, уже отменены, по данным провайдера данных отслеживания полетов FlightAware.

Согласно последнему прогнозу Национального центра отслеживания ураганов, опубликованному во вторник, при максимальных устойчивых ветрах в 150 миль/ч (241 км/ч) «Милтон» был понижен с категории 5 до категории 4 по пятиступенчатой шкале Саффира-Симпсона.

Хотя ожидаются колебания интенсивности, судя по прогнозам, «Милтон» по-прежнему является чрезвычайно опасным ураганом, который вызовет катастрофические разрушения и перебои в подаче электроэнергии, которые, как ожидается, продлятся несколько дней.

Форум

XS
SM
MD
LG